Além da ‘falsa couve’, outras 9 plantas tóxicas podem causar a morte; veja quais são
A morte de uma mulher de 37 anos e a intoxicação de outras 11 pessoas após a ingestão da Nicotiana glauca, planta tóxica popularmente conhecida como “falsa couve”, no interior de Minas Gerais, reacenderam o alerta sobre o risco de confundir espécies venenosas com hortaliças.
Além disso, é importante redobrar a atenção em ambientes com crianças e animais domésticos, já que muitas plantas ornamentais ou silvestres podem causar intoxicações graves e até a morte se ingeridas.
Confira abaixo 10 plantas tóxicas comumente encontradas no Brasil:
Falsa couve (Nicotiana glauca)

De aparência semelhante à couve tradicional, essa planta contém alcaloides tóxicos que atacam o sistema nervoso e respiratório. A ingestão pode causar vômitos, fraqueza muscular, confusão mental e parada cardiorrespiratória.
2. Comigo-ninguém-pode (Dieffenbachia picta)

Muito usada como planta ornamental, libera um líquido cáustico ao ser cortada. O contato com a pele pode causar irritação e inchaço; a ingestão leva a inchaço da língua e garganta, podendo bloquear as vias respiratórias.
🌸 3. Espirradeira (Nerium oleander)

De flores bonitas e comuns em jardins, é letal em todas as partes da planta. Contém glicosídeos que afetam o coração, podendo causar arritmia, parada cardíaca e morte.
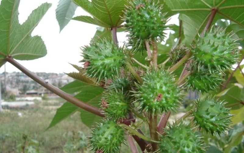
🌰 4. Mamona (Ricinus communis)

Suas sementes contêm ricina, uma das substâncias naturais mais tóxicas do mundo. A ingestão de poucas unidades já é suficiente para causar vômitos, convulsões e falência de órgãos.
🍂 5. Tinhorão (Caladium bicolor)

Com folhas coloridas e ornamentais, o tinhorão é perigoso para crianças e animais. Provoca inchaço na boca e garganta, náuseas e asfixia se mastigado.
🐍 6. Saião-roxo (Kalanchoe blossfeldiana)

Usado popularmente como planta medicinal, o saião contém substâncias que podem causar arritmia cardíaca em humanos e animais, especialmente bovinos e cães.
🌾 7. Trombeta (Datura stramonium ou “zabumba”)

Conhecida por seus grandes flores brancas, é altamente alucinógena e tóxica. A ingestão pode provocar delírios, convulsões, taquicardia e até parada respiratória.
🪴 8. Antúrio (Anthurium andraeanum)

Comum em interiores e escritórios, o antúrio contém cristais de oxalato de cálcio. Causa queimaduras na boca, dor intensa e edema na língua e garganta.
🍎 9. Manchineel (Hippomane mancinella)

Considerada uma das árvores mais perigosas do mundo, seu látex é extremamente irritante. Apenas ficar sob a árvore durante a chuva pode causar bolhas na pele e inflamações graves. Os frutos, semelhantes a maçãs, são altamente venenosos.
🌺 10. Bico-de-papagaio (Euphorbia pulcherrima)

Popular no Natal, essa planta contém seiva leitosa tóxica, que pode causar irritação nos olhos, mucosas e pele. A ingestão em grandes quantidades provoca náuseas, vômitos e diarreia.
